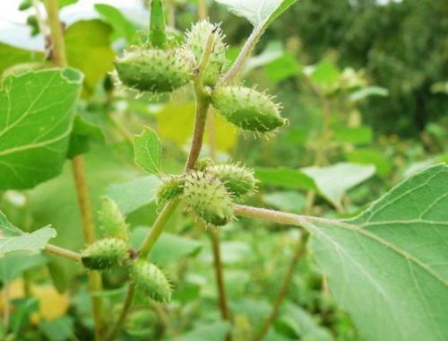
在我的记忆里,在我们上小学的时候,有些调皮的小男孩就会摘一些它们,在我们这里都叫它刺挠狗,摘了以后放进文具盒里,等到第二天仍在女同学的头上,这种植物一旦粘在头发上,就很难取下来,下面跟随我一起来看看吧。

这种植物上面长满了小细刺,只要是毛发一旦碰到它,它就会死死的黏在上面,很难取下来,其实它的学名叫苍耳子。

苍耳子在中医眼里是一种很常见的草药,只是我们农村人对它不是很了解,只有少数老人知道它还可以治疗鼻炎。

其实它的方法很简单,拿几十个把它弄碎,然后放进一个杯子里,加点麻油,用小火把它煮开,把苍耳子渣去掉,保存好,每天棉签涂在鼻腔里就可以,每天两次见效很快。

鼻炎是反复的很难治愈的,但是有人有了这个土方子以后,好多年不复发,效果很好,你认识它吗?